TOMAŠEVIĆ: Odzvonilo je besplatnom parkiranju na rezerviranim mjestima u centru Zagreba
Festival svjetla 2024.: Dobro poznate gradske lokacije dobile su novo lice
– Spustili smo se i ove godine u Donji grad, zbog toga što traje obnova Gornjeg grada i na lokacijama gdje smo obično imali naše krasne svjetlosne lokacije. Obnova je u punom jeku, to nas jako veseli. Jedino što će ostati na Gornjem gradu je već tradicionalna Kula Lotrščak i svjetionik koji svake godine obilježava Festival svjetla – rekla je
Martina Bienenfeld, direktorica TZ Grada Zagreba.
Svi posjetitelji, tijekom pet dana, moći će obići ukupno 29 atrakcija na 24 lokacije koje će najaviti dolazak toplijih i dužih dana te nas ponovno povezati s gradom na jedinstven način.


– Ove godine događanje Festival svjetla poklopio se i s manjom manifestacijom koja je pokrenuta prije 17 godina. Ona se zove Earth hour, odnosno Sat za planet Zemlju. Održava se pretposljednje subote u ožujku. Na sat vremena gasimo svjetlu od 20:30 do 21:30 svake pretposljednje subote u ožujku. Koristimo taj sat da promislimo o tome kakav je naš utjecaj na planet. Nakon toga palimo svjetlo i poduzimamo nove mjere kako bismo taj planet učinili boljim mjestom za sve nas – poručila je Dunja Mazzocco Drvar, direktorica programa zaštite prirode.
Kula Lotrščak će, uz Opatovinu, park Ribnjak, tržnicu Dolac, Masarykovu, Gajevu, Trg Mažuranića, HNK, Trg Marka Marulića i Kralja Tomislava, kao i park Zrinjevac, Staru Vlašku i druge lokacije najaviti proljeće, a na ulice donijeti živost u novom ruhu.
ČLANAK JE SUFINANCIRAN SREDSTVIMA FONDA ZA POTICANJE PLURALIZMA I RAZNOVRSNOSTI ELEKTRONIČKIH MEDIJA U Centru za zdravlje mladih otvoreno Savjetovalište za poremećaje prehrane djece





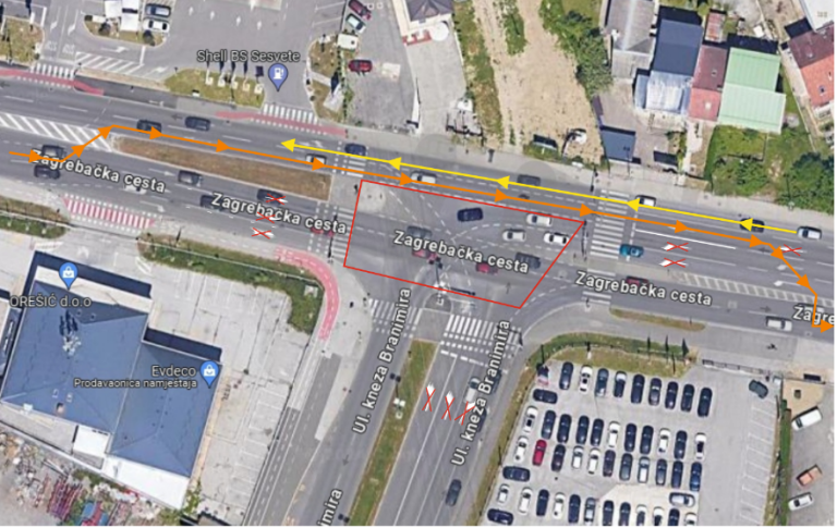
Evo kojim će sve prometnicama biti otežan promet ovog vikenda
Na Vrbiku nikad više kontejnera unatoč ideji da bi Zagreb trebao prestati biti ‘kantograd’







Nakon 60 godina kreće rekonstrukcija zagrebačke tržnice Vrapče
Predviđena je izgradnja samostojeće zgrade tržnice Vrapče koja se sastoji od podruma i prizemlja, ukupne građevinske bruto površine 484,90 m2.
Sjeverni dio tržnice bit će organiziran kao fiksni i sadržavat će zatvorene lokale i poslovne prostore, te pomoćne prostore za organizaciju rada tržnice. Drugi dio tržnice orijentiran je prema parku kao fleksibilni prostor s pomičnim prodajnim klupama za prodaju voća, povrća i drugih namirnica koje se prodaju na javnim tržnicama na malo.
U podrumskoj garaži predviđeno je 21 parkirališno mjesto, stubište, dizalo i wc za vanjske korisnike. Predviđeno je također pet vanjskih parkirnih mjesta. JAZ osvaja Hrvatsku: skriva se iza pseudonima i osvaja radio i TV valove
JAZ je ime koje odzvanja hrvatskom glazbenom scenom, intrigirajući publiku svojim talentom i misterijom. Njegove pjesme se vrte na brojnim radio i TV postajama, osvajajući srca slušatelja, a identitet JAZ-a ostaje tajna.
Od samog početka, JAZ se skriva iza pseudonima i koncepta bez lika. U video spotovima protagonist je poznati glumac Slaven Knezović, a serija od 12 kratkih filmova u režiji Almmira Fakića predstavlja pjesme s njegovog prvog albuma.
Do sada je JAZ objavio devet singlova, a pjesme poput “Nema mi je”, “Vrijeme liječi sve”, “Svatko svoju tugu ima” i “Zlato moje, moja ljubavi” postale su hitovi na radio postajama. Planirano je izdavanje još tri singla do ljeta, čime će se zaokružiti album.
Tekstove i glazbu potpisuje Tihomir Borošak, a aranžmane radi prof. Branko Glavan uz suradnju s vrhunskim studijskim glazbenicima. JAZ je svjestan da će za njegovu glazbu u starogradskom stilu trebati malo više vremena da dođe do publike, ali se nada da će moderni pristup produkciji privući slušatelje.
JAZ za sada ostaje u sjeni svoga rada, ostavljajući publiku u nadi da će uskoro otkriti svoj identitet i više o sebi, svojim planovima i umjetničkom radu.
Procjena i upravljanje rizikom u slučajevima partnerskog nasilja nad ženama i nasilja u obitelji
Profesorica psihologije Anita Lauri Korajlija održala je predavanje o prisilnoj kontroli i psihičkom nasilju nad ženama. Prisilna kontrola je obrazac ponašanja koji za cilj ima da se u potpuno stekne kontrola nad ženom i da se njoj pošalje poruka da je nesposobna za samostalan život i da jedino može funkcionirati u zajednici sa zlostavljačem.
“Prisilna kontrola je zapravo jedan od najznačajnijih prediktora femicida. Ako je u vezi postojala prisilna kontrola, u trenutku kada prisilna kontrola popušta, u trenutku kada žena odluči otići, povećava se rizik od femicida u takvim vezama. U tom trenutku zlostavljač donosi odluku hoće li odustati od nje, hoće li pokušati s eskalacijom ponašanja kako bi ju ponovno vratio ili će donijeti odluku koja kaže: “ili moja ili ničija” i ući u planiranje ponašanja koje će voditi prema femicidu, kao konačan i potpuni oblik kontrole života, dakle “živjet ćeš ako ja odlučim da ćeš živjeti””, objasnila je Anita Lauri Korajlija, profesorica psihologije na Filozofskom fakultetu u Zagrebu.
Pravobraniteljica za ravnopravnost spolova Višnja Ljubičić održala je uvodni govor na konferenciji.
“Upravljanje rizicima iznimno je važno zbog toga što to naglašava osobnu i stručnu odgovornost u procjeni rizika i daljnjem upravljanju rizicima prema počiniteljima i prema žrtvi. Mi posljednjih desetak godina ukazujemo svim dionicima koji sudjeluju u procesu rodno uvjetovanog nasilja da je potrebno staviti naglasak na određene rizične faktore. Drago mi je da se na ovoj konferenciji navode posebni rizični elementi koji se trebaju uzeti u obzir prilikom obrade svakog pojedinog slučaja. Vrlo često okidači koji dovode do brutalizacije rodno uvjetovanog nasilja ili femicida povezani su i s ranijom osuđivanosti počinitelja, bilo vezano za rodno uvjetovano nasilje ili neke druge oblike kaznenih djela. Prijašnje prijetnje ubojstvom, samoubojstvom, ovisnosti, alkoholizam, držanje oružja, posjedovanje oružja, vrlo često ilegalno posjedovanje oružja”, istaknula je Višnja Ljubičić, pravobraniteljica za ravnopravnost spolova.
U Republici Hrvatskoj državne institucije na deklaratornoj razini pristupaju procjeni rizika u slučajevima partnerskog nasilja.
“Nema u dovoljnoj mjeri preuzimanja stručne odgovornosti, a vrlo često i građanske odgovornosti kada se radi o svim drugim oblicima ili diskriminacije ili protupravnog ponašanja”, zaključila je Višnja Ljubičić, pravobraniteljica za ravnopravnost spolova.
Cilj projekta Riskfree jest poboljšana zaštita i podrška ženama koje su preživjele rodno uvjetovano nasilje kroz razvoj alata za procjenu rizika te osnaživanje žena koje su preživjele rodno uvjetovano nasilje kroz grupne radionice podrške, besplatnu pravnu pomoć, psihološko savjetovanje te pomoć pri zapošljavanju.
ČITATELJ IZ TRAVNOG: Nešto se pokrenulo po pitanju čistoće kvarta, ali…

Produljuju se radovi na dijelu od Zagrebačke ceste do Brestovečke ulice
Na Festivalu svjetla očekuje nas 29 atrakcija na čak 24 lokacije!
Svjetska organizacija za zaštitu prirode WWF već 15 godina organizira Sat za planet Zemlju, najveću volontersku akciju na svijetu.
– To je akcija koja poziva na hitnu prilagodbu na klimatske promjene te na zaštitu biološke raznolikosti koju gubimo vrtoglavom brzinom. Naime, gotovo svakih sat vremena izgubimo jednu vrstu na svijetu. Kako se ove godine naša akcija održava istodobno s Festivalom svjetla u Zagrebu, zahvalni smo Turističkoj zajednici grada Zagreba koja je s radošću prihvatila poziv na suradnju i odlučila svoju glavnu festivalsku lokaciju na Marulićevom trgu prepustiti poruci zaštite prirode i našeg skladnog života s njom. Također, u subotu, 23. ožujka, u 20:30 sati, obilježit ćemo Sat za planet Zemlju gašenjem svjetla na svim festivalskim lokacijama u trajanju od 15 minuta, a građane pozivamo da tom prilikom dođu na Marulićev trg gdje ćemo organizirati i prigodni program – kazala je Dunja Mazzocco Drvar, direktorica programa zaštite prirode WWF Adria.
Kao i svaki put, uz Hrvatsku, TZGZ provodi online i offline kampanje na tržištima Austrije, Belgije, BiH, Crne Gore, Francuske, Italije, Mađarske, Nizozemske, Njemačke, Skandinavije, Slovenije, Srbije i Velike Britanije, a postavljeni su i promotivni panoi na dolaznom terminalu zagrebačke Zračne luke Franjo Tuđman. Podsjećamo, Festival svjetla Zagreb uvršten je u međunarodnu organizaciju Festival of Lights International, već od svog prvog izdanja 2017. godine, čime je stavljen u fokus diljem svijeta s gradovima kao što su Berlin, New York i mnogi drugi.
Program otvorenja u suradnji s WWF Adria, austrijskim, francuskim i njemačkim umjetnicima te uz 3D mapping zakazan je za srijedu, 20. ožujka, u 19:00 sati na lokaciji koja se premijerno predstavlja – Trgu Marka Marulića.
Kao i prijašnjih godina, Festival će biti otvoren od 18 do 23 sata, a ulazak na sve programe je besplatan. Više informacija o pojedinim programima, kao i karta lokacija, dostupni su u Centrima za posjetitelje te na: www.festivalsvjetlazagreb.hr. GRADI SE KRUŽNI TOK: Raskrižje u Novom Zagrebu bit će zatvoreno idućih deset dana
Kronična bolest bubrega sve je veći zdravstveni problem, pogađa više od 850 milijuna ljudi diljem svijeta


– Problem KBB-a je taj što duge ne daje nikakve simptome i kad uznapreduje bolest i jave se prvi simptomi onda je već najčešće kasno i već se pacijent pomalo treba pripremati za neku od metoda nadomještanja bubrežne funkcije. Simptomi koji se kasnije javljaju znaju biti mučnina, slabost, povraćanje, oticanje nogu, lica, ruku, visok tlak i tako dalje – rekao je prof.dr. Mario Laganović, predsjednik Hrvatskog društva za nefrologiju, dijalizu i transplantaciju.


17. GUMBEKOVI DANI: Festival kabareta i komedije u Histrionskom domu nastavlja sjećanje na popularnog Gumbeka
































