
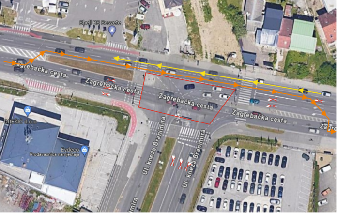
Raskrižjem Zagrebačke ceste i Ulice kneza Branimira u Sesvetama nastavit će se vrlo otežano prometovanje do četvrtka 14. ožujka 2024. do 4.00 sata zbog produljenja radova. Naime, u tijeku je izgradnja 1. etape produžene Ulice kneza Branimira, od Zagrebačke ceste do Brestovečke. Izvode se radovi na prespoju novog kolektora na postojeći koji se nalazi u samom raskrižju Zagrebačke ceste i Ulice kneza Branimira.
Promet će se odvijati suženim dijelom kolnika (u smjeru istok-zapad jednim prometnim trakom) odnosno u nekim smjerovima bit će u potpunosti onemogućen. Zabranjeno će biti prometovanje iz Zagrebačke ceste u Ulicu kneza Branimira (smjer istok-jug), kao i iz Ulice kneza Branimira prema Ulici Dubrava (smjer jug – zapad).
Kako bi se na raskrižju izbjegla dodatna zagušenja, predloženi su sljedeći obilazni pravci:
Iz smjera istok:
Zagrebačka – Ljudevita Posavskog – Slavonska avenija – Heinzelova – Ulica kneza Branimira i obratno.
Iz smjera zapad:
Dubrava – R. Škrnjuga – Ulica kneza Branimira – Aleja Javora – Platana – Čulinečka – Slavonska avenija – Ljudevita Posavskog – Zagrebačka.
Iz Grada mole da posebnu pozornost obrate pješaci, s obzirom na to da se u zoni gradilišta kreće velik broj teretnih vozila. Svi ostali sudionici u prometu mole se da obrate pozornost na privremeno postavljenu signalizaciju te da imaju razumijevanja zbog mogućih poteškoća u prometu.



































